Presented by Cold Noses Foundation, Inc.

Help Save Oreo: The Dog hit and left with two broken legs in FL Evergladeas area.

Registration is closed

Oreo's Story

 

Oreo UPDATE (5/5/25)

Oreo continues to make slow but steady progress. He is just beginning to take 3 minute potty walks and then immediately wants to go lay down. Our amazing team at Pet Orphans is opening up a temporary space for him indoors where he can begin to get some very light therapy. (And get out of the hospital environment) He is looking for a foster family to love on him and show him what it means to be loved. His care requirements are changing, but at the current time he is basically immobile except for potty breaks. He is sweet in nature and wags his tail when spoken to. He needs to begin therapy in the next few weeks to strengthen his legs and really his whole body. Could you be his family for the time being? Email us if you are interested in Oreo.

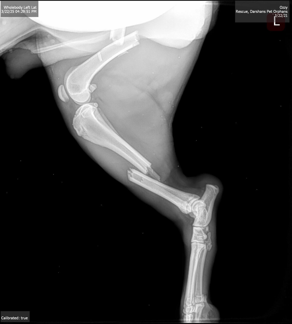
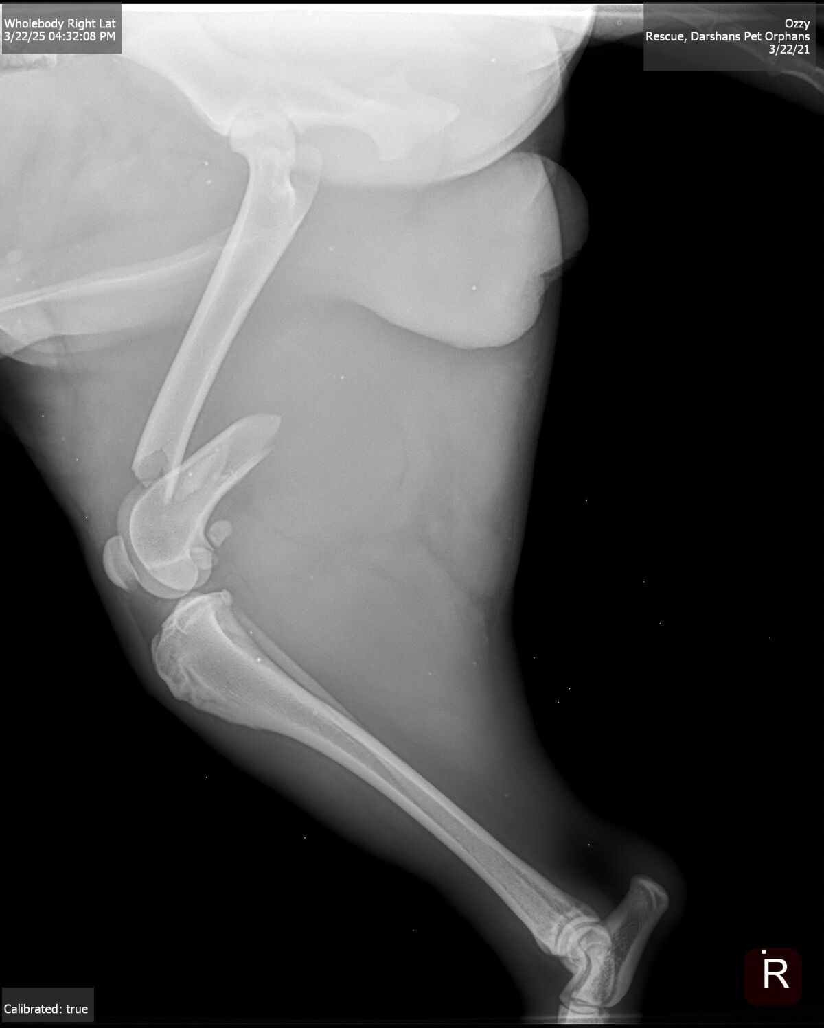
Oreo was hit by a nursery truck in Homestead (FL Everglades area). Days later, he remained on the side of the road, with two shattered legs and covered in red ants. He remained there while people passed right by him time and time again. 

When Cold Noses got word of his suffering, we asked Pet Orphans Miami (Our trusted Boots-on-the-ground in FL) to please rescue him. They quickly located him, and bathed the red, stinging ants off of him and took him to Town and Country Vet Hospital where he remains under the capable hands of surgeon Dr. Fernand. 

He had suffered for days with multiple fractures. He has two badly broken legs. His surgeries will be costly and not without risk of infection due to hardware placement. But Oreo has shown us he WANTS TO LIVE. He wags his tail in his kennel, despite his severe pain he must be in. 

He has a long road to recovery, and his care will be costly. But he is a life and every life is worth saving. We will keep fighting for Oreo. Will you? 

Oreo's Story

 

Oreo UPDATE (5/5/25)

Oreo continues to make slow but steady progress. He is just beginning to take 3 minute potty walks and then immediately wants to go lay down. Our amazing team at Pet Orphans is opening up a temporary space for him indoors where he can begin to get some very light therapy. (And get out of the hospital environment) He is looking for a foster family to love on him and show him what it means to be loved. His care requirements are changing, but at the current time he is basically immobile except for potty breaks. He is sweet in nature and wags his tail when spoken to. He needs to begin therapy in the next few weeks to strengthen his legs and really his whole body. Could you be his family for the time being? Email us if you are interested in Oreo.

Oreo was hit by a nursery truck in Homestead (FL Everglades area). Days later, he remained on the side of the road, with two shattered legs and covered in red ants. He remained there while people passed right by him time and time again. 

When Cold Noses got word of his suffering, we asked Pet Orphans Miami (Our trusted Boots-on-the-ground in FL) to please rescue him. They quickly located him, and bathed the red, stinging ants off of him and took him to Town and Country Vet Hospital where he remains under the capable hands of surgeon Dr. Fernand. 

He had suffered for days with multiple fractures. He has two badly broken legs. His surgeries will be costly and not without risk of infection due to hardware placement. But Oreo has shown us he WANTS TO LIVE. He wags his tail in his kennel, despite his severe pain he must be in. 

He has a long road to recovery, and his care will be costly. But he is a life and every life is worth saving. We will keep fighting for Oreo. Will you? 

$2,224.67

achieved

$16,000.00

goal

0

days

0

hours

0

mins

0

secs